martes, abril 21, 2026
Tendencias

El Huracán Laura subió a categoría 3 y hay 400 mil evacuados

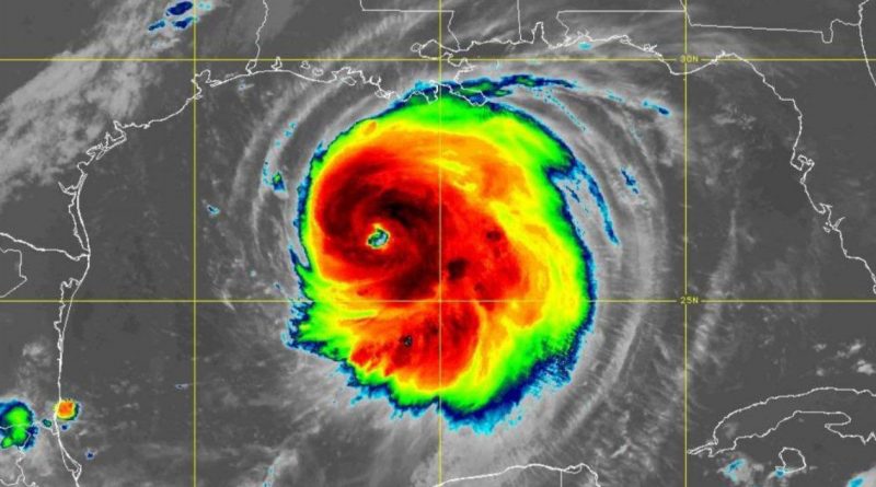
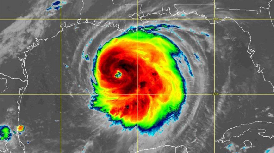
El Huracán Laura subió a categoría 3 en las últimas horas a poco de tocar tierra en la costa del Golfo de México. Más de 400.000 personas fueron evacuadas y desde el Centro Nacional de huracanes de Estados Unidos advierten que los daños podrían ser “catastróficos”.

Se espera que el Huracán Laura toque tierra el jueves por la mañana en Texas y Luisiana- hacia donde se dirige con a una velocidad de 26 km/h y registra vientos de hasta 220 km/h- y pronostican que llegará con categoría 4 en la escala de 5 de Saffir-Simpson.

“El ojo de Laura se prevé que atraviese el noroeste de Luisiana a lo largo del jueves, por Arkansas en la noche del jueves y por el valle del Misisipi el viernes”, señala el Centro Nacional de huracanes.

Y advierten con un mensaje: “Se esperan marejas catastróficas, vientos extremos e inundaciones repentinas a lo largo de la costa noroeste del Golfo esta noche. Permanecer poco tiempo para proteger la vida”.

En Texas la evacuación fue obligatoria en los condados de Jefferson, Orange y Jasper, Beaumont, Port Arthur y Galveston donde 385.000 dejaron sus hogares. Otras 200 mil lo hicieron en el suroeste de Luisiana.

Desde el Centro de Huracanes de Estados Unidos advierten sobre una importante subida del nivel del mar con olas de hasta tres metros y su consecuente ingreso a tierra. Además, prevén cortes de electricidad y árboles derribados como algunas de las consecuencias inmediatas.

El gobernador de Luisiana, John Edwards, sostuvo en una conferencia de prensa realizada el pasado lunes que “Laura” “tiene el potencial de ser el huracán más fuerte que ha golpeado desde Rita (2005, categoría 5)”.

Por su parte, el gobernador de Texas decidió eliminar las barreras de los peajes para que “a medida que el Huracán Laura se acerca, esta exención garantizará que los tejanos puedan evacuar de manera eficiente antes de la tormenta”, según indicó Greg Abbott. “Insto a los tejanos de la zona a que sigan tomando todas las precauciones necesarias a medida que el huracán Laura se acerca a la costa y presten atención a la orientación de los funcionarios locales”.

Comentarios